Setogoe 1-chome, Sasebo City (Izumifukuji Station) 2-story building 5K

Setogoe 1-chome, Sasebo City

Property Details

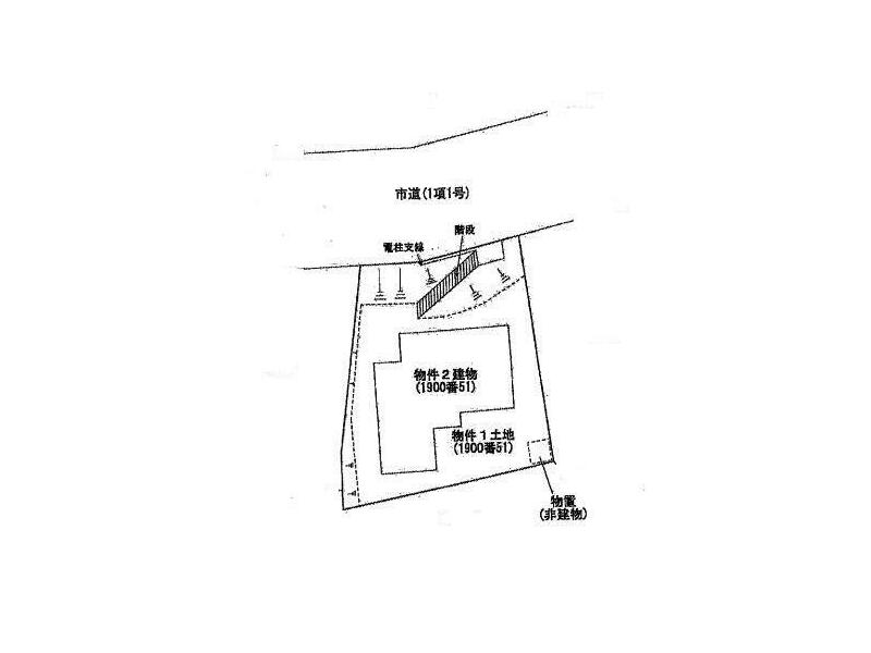
Layout 5K
Land Area 201.42m²
Building Area 69.50m²
Construction Date July 1972 (53 years and 8 months old)
Transportation 1100m on foot from Matsura Railway Nishi-Kyushu Line "Izumifukuji" Station
Property Type Used single-family home
Prefecture Nagasaki
Source athome

Similar Properties in Nagasaki

Hinokawa Elementary and Junior High School area! A great location for families with children, just a 3-minute drive to Lala Coop Hino

$61,681

Hinokawa Elementary and Junior High School area! A great location for families with children, just a 3-minute drive to Lala Coop Hino

Nagasaki Prefecture, Sasebo City, Seiwadai Town

Nagasaki City, Showa 2-chome (Showa-machi-dori Station) 2-story building 5DK

$62

Nagasaki City, Showa 2-chome (Showa-machi-dori Station) 2-story building 5DK

Nagasaki City, Showa 2-chome

Used single-family home in Minami Shimabara City

$61,661

Used single-family home in Minami Shimabara City

Bus, Fujihara, 15 minutes walk, 2593 Ariake Town, Minami Shimabara City, Nagasaki Prefecture

■Price has been further revised!! Just off the national road! 6 minutes walk from Mikawachi Station♪

$24,823

■Price has been further revised!! Just off the national road! 6 minutes walk from Mikawachi Station♪

Shiohishimachi, Sasebo City, Nagasaki Prefecture

Price

$19,200

0 people like this property

Get Weekly Picks

Hand-picked akiya listings in Nagasaki, delivered free every week.