Okushi City, Mizusawa, Taga

19 Chiwari, Kuroiwa, Kitakami City
Okushi City, Mizusawa, Taga
1 / 3

Property Details

Layout 5SK
Land Area 1,071.40m²
Building Area 82.63m²
Construction Date January 1969 (57 years and 2 months old)
Transportation JR Tohoku Main Line "Kitakami" Station 5500m on foot
Property Type Used single-family home
Prefecture Iwate
Source athome

Description

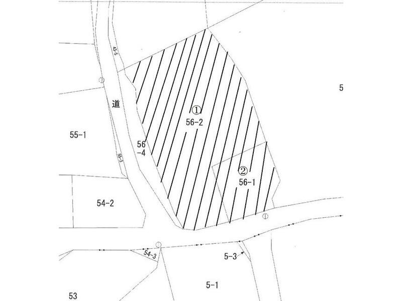
Lot number 1: Kuroiwa 19 Chiwari 56-1, Land category: Residential land, Area: 189.60㎡; Lot number 2: Kuroiwa 19 Chiwari 56-2, Land category: Residential land, Area: 881.80㎡. There is a height difference of more than 1.5m on the south and west sides, and boundary confirmation survey is required (cost to be borne by the seller).

Similar Properties in Iwate

Kawajiri 41 Chiwari, Nishi Waga Town, Waga County (Hotto Yuda Station) 2-story 4SLDK

$30,720

Kawajiri 41 Chiwari, Nishi Waga Town, Waga County (Hotto Yuda Station) 2-story 4SLDK

Kawajiri 41 Chiwari, Nishi Waga Town, Waga County

Morioka City, Higashinjo 2-chome, 2-story, 2LDK

$50,378

Morioka City, Higashinjo 2-chome, 2-story, 2LDK

Morioka City, Higashinjo 2-chome

13 minutes on foot from Iwate Galaxy Railway "Iwate Numakunai" Station

$32,000

13 minutes on foot from Iwate Galaxy Railway "Iwate Numakunai" Station

5 million yen

Mitsuwari 3 Chome, Morioka City (Yamagishi Station) 2-story 6DK

$30,720

Mitsuwari 3 Chome, Morioka City (Yamagishi Station) 2-story 6DK

Mitsuwari 3 Chome, Morioka City

Price

$38,208

0 people like this property

Get Weekly Picks

Hand-picked akiya listings in Iwate, delivered free every week.